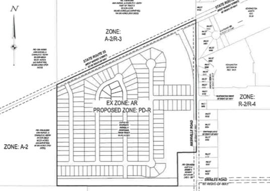
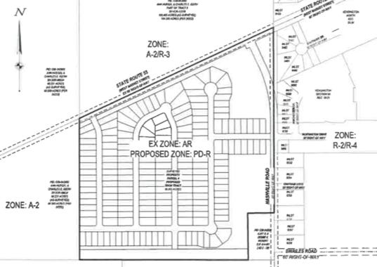
Saturday Special: Another Rezoning Request for Residential Development on Troy's Southwest Side
Developers want to build 189 homes on land at Nashville Road and West Market Street
Keep reading with a 7-day free trial
Subscribe to Civic Capacity to keep reading this post and get 7 days of free access to the full post archives.



